Oh no! my Dog is Limping...get these useful facts to sort it out!
Estimated 0 min read

Why IS your dog limping
Discovering your dog limping can stir a mix of concern and confusion. What could be causing it?
From playful mishaps to the quiet onset of age-related issues, the reasons behind a limp are as varied as our canine companions themselves.
This blog is crafted to illuminate the path from the first signs of limping through to recovery, offering clear, actionable advice.
With a focus on understanding, treating, and preventing limping, we aim to arm you with knowledge and confidence.
Because seeing your four-legged friend in distress is tough, but knowing how to help them feels empowering.
Facts About Dog Limping
- Early detection and appropriate veterinary care are crucial for a limping dog’s recovery
- Rehabilitation and controlled activity post-treatment prevent further injury and aid healing
- Diet and weight management play a significant role in preventing limping and promoting joint health
Understanding Dog Limping

Dog limping
Limping, or lameness, is an indication of discomfort, injury, or an underlying health issue affecting one or more of your dog’s limbs. Limping can manifest in two primary forms: gradual onset and sudden onset.
Gradual onset limping develops over time and is often linked to chronic conditions such as arthritis, hip dysplasia, or degenerative joint disease. These conditions wear down the joint or limb’s normal functions, leading to a progressive decrease in mobility and increased discomfort.
On the other hand, sudden onset limping appears abruptly, usually following an injury or specific traumatic event. This type of limping can result from accidents, such as falls or collisions, leading to fractures, sprains, or ligament tears. Sudden onset limps are more straightforward in their cause but require immediate attention to prevent further damage.
The severity and duration of your dog’s limp are critical factors in determining the urgency of seeking veterinary care. A mild limp, where your dog still uses the limb but with less weight, might not require immediate veterinary intervention but should be monitored closely. Rest and restricted movement can sometimes allow minor injuries to heal on their own.
However, if the limp is severe — characterized by your dog refusing to use the limb, showing signs of significant pain, or any visible swelling or abnormal angle — it’s time to consult a veterinarian without delay. Similarly, a limp that persists for more than 24-48 hours, even if it seems mild, warrants a professional evaluation to rule out serious conditions.
By understanding the types of limping and the importance of the limp’s severity and duration, dog owners can make informed decisions about when to seek veterinary care. Early intervention can make a significant difference in your dog’s recovery and overall health, ensuring they return to their playful, active selves as soon as possible.
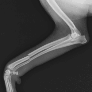
Common Causes for Dog Limping

Image of an injured dog leg
Soft Tissue Injuries
Soft tissue injuries, such as sprains, strains, and muscle pulls, occur by overstretching or tearing ligaments, tendons, or muscles. When a sudden force stretches your dog’s ligament beyond its normal range, this can cause inflammation and limping.
Bone, Joint, and Cartilage Damage
When we talk about damage to bones, joints, and cartilage, we’re often dealing with more severe trauma or degenerative diseases. A fracture, for instance, results from a force that exceeds the bone’s strength, causing it to break. Joint dislocations and cartilage also damage disrupt the smooth movement of the joint, causing pain with every movement.
Specific Conditions like CCL Injuries, Hip Dysplasia, and Osteoarthritis
CCL injuries, hip dysplasia, and osteoarthritis are debilitating conditions that cause dog limpings. A CCL tear happens when the ligament stabilizing the knee joint degenerates and can result in limping. Hip dysplasia causes the hip joints to develop improperly, which can lead to discomfort and limping. Osteoarthritis causes the cushioning between bones to rub painfully against each other which can lead to limping.
The Compounding Trifecta of Age, Breed, and Lifestyle
Age, breed, and lifestyle significantly influence the likelihood and type of limping in dogs. Young dogs are prone to injuries from high-impact activities. Older dogs face the challenge of arthritis, a direct result of years of wear on their joints. Certain breeds also have genetic predispositions to conditions that cause limping. Additionally, overweight dogs carry extra burden on their joints, accelerating the wear and tear that leads to pain and stiffness.
Understanding these causes of dog limping is crucial for recognizing the seriousness of your dog’s limping and seeking appropriate care. With this knowledge, we can better support our canine companions through prevention, early detection, and treatment.
First Aid for Limping Dogs

Let your dog rest and stay off his feet
When your dog starts limping, quick and appropriate first aid can make a big difference. Here’s what you can do at home to help your furry friend.
Assess the Situation
First, observe the severity of the limp. Can your dog put any weight on the leg? Is there visible swelling or discomfort? These observations are crucial.
Rest is Crucial
Limit your dog’s movement. Create a comfortable resting area and encourage them to stay put. Avoid walks and playtime until you can see a vet.
Cold and Warm Compresses
For recent injuries, apply a cold compress for 15 minutes, twice daily. This helps reduce swelling. If the limp persists for more than 48 hours, switch to warm compresses to ease discomfort.
Avoid Human Medications
Never give your doghuman pain relievers.Medications like ibuprofen and acetaminophen are toxic to dogs. Always consult a vet before administering any medication like carprofen.

Keep an eye on your pup
Monitor Closely
Keep a close eye on your dog’s condition. If the limp worsens or doesn’t improve within 24 hours, it’s time to see the vet. They can provide a thorough examination and recommend the next steps for treatment.
Taking these initial steps at home can support your dog’s comfort and recovery. However, professional veterinary guidance is essential to properly address the underlying cause of the limp.
Treatment Options for Limping Dogs
Effective management of limping in dogs encompasses a spectrum of interventions. The choice of treatment is dictated by the underlying cause, severity of symptoms, and the dog’s overall health status.
Rest and Pharmacotherapy
Initial treatment for acute or mild limping often involves strict rest. This minimizes further joint stress and allows natural healing. Medication typically includes Non-Steroidal Anti-Inflammatory Drugs (NSAIDs) to alleviate inflammation. It’s imperative to use canine-specific NSAIDs, as human medications can be toxic to dogs.
Physical Therapy

Dog getting physical therapy
Physical therapy accelerates recovery. Physical therapy for dog limping includes passive range of motion exercises, balance training, and controlled walking. These activities can enhance joint flexibility, muscle strength, and overall mobility. Rehabilitation is especially beneficial following surgical interventions, promoting quicker recovery and optimal functional outcomes.
Weight Management
For dogs with obesity, weight reduction is crucial. Excess body weight exacerbates mechanical stress on joints, compounding limping issues. A tailored diet plan, coupled with gradual increase in exercise, under veterinary supervision, can mitigate these effects.
Dietary Supplements
Joint supplements containing glucosamine, chondroitin, and omega-3 fatty acids may offer symptomatic relief in dogs with conditions that cause limping. These supplements are especially helpful for dogs with osteoarthritis by supporting cartilage health and reducing inflammation.
Surgical Interventions
In cases where conservative management fails or for specific conditions like Cranial Cruciate Ligament (CCL) injuries, surgery may be indicated. Surgical options vary based on the diagnosis.
Extracapsular Lateral Suture Stabilization is often utilized for smaller or less active dogs. It involves placing a suture outside the joint to mimic the function of the damaged ligament.

Dog recovering from surgery
Meanwhile, Tibial Plateau Leveling Osteotomy (TPLO) and Tibial Tuberosity Advancement (TTA) alter the dynamics of the knee joint. These procedures help stabilize it without directly repairing the ligament. These procedures are generally recommended for larger, more active dogs or those with significant joint instability.
Regardless of what treatment method you opt for, monitoring post-treatment is key to recovering from dog limping. Watch for signs of progress or setbacks. Improvement includes increased mobility and decreased pain. Any recurrence of limping or signs of discomfort warrants a veterinary check-up. Early detection of complications can prevent more severe issues.
Recovery from limping, whether due to injury or surgery, requires patience and dedication. By following these guidelines, you can support your dog through their rehabilitation and recovery process. Ensuring a safe, gradual return to normal activity levels is the goal.
Each step towards recovery not only strengthens their physical health but also deepens the bond you share. Remember, the path to wellness extends beyond immediate care, embracing ongoing support and preventive measures to safeguard their vitality. At Banixx, we’re committed to being your trusted partner in this journey, offering insights and solutions for every leap, bound, and step your dog takes. Join us as we explore more ways to ensure your furry friend’s happiness and health flourish.
As a Final Word to all Dog Lovers
At Banixx, we’re committed to providing you with the insights and solutions needed to tackle health challenges like lipomas. Our dedication goes beyond addressing individual conditions; we aim to foster a community where every aspect of your dog’s happiness & health is supported.
We invite you to continue this journey with us, exploring the depths of pet care and ensuring that your beloved companion enjoys a vibrant, joyful life. Stay tuned to Banixx for more empowering knowledge and tips to enrich your dog’s health and happiness.
At Banixx, our commitment is to empower you with knowledge and solutions for your pet’s well-being. We invite you to join us on this journey, via our dogblog, ensuring that every wag, woof, and playful leap is filled with health and happiness. We have a variety of other blog topics to please everyone, such ashow long can a dog go without peeing, orwhat you need to know about psoriasis in dogsyep, we’ve got those covered.
Sources
https://vcahospitals.com/know-your-pet/first-aid-for-limping-dogs#:~:text=If%20your%20dog%20has%20swelling,for%2015%20minutes%20twice%20daily
https://orthodog.com/article/dog-limping/
https://www.thesprucepets.com/why-is-my-dog-limping-4125207
https://www.akc.org/expert-advice/health/why-is-my-dog-limping/
https://www.petmd.com/dog/symptoms/why-is-my-dog-limping
https://vetmed.illinois.edu/pet-health-columns/ccl-injuries-in-dogs-what-they-are-how-to-fix-them/
https://vetmedbiosci.colostate.edu/vth/services/orthopedic-medicine/canine-cruciate-ligament-injury/
https://thevets.com/blog/dog-limping/
